异响,异响,异响真烦人
快五年十万公里了,因为异响轮胎内八轮胎磨内衬,这是第二次换后桥了,也是4S店免费更换的,不过时间要久一点,先拆下来查看,再申请免费更换,等配件到,总共一个礼拜时间,因为轴承散了,拆下来就装不上去了,所以车要放在那里一个礼拜,4S店是不肯先订后桥再给你拆下来检查的,就算占他一个工位,除非你自费。
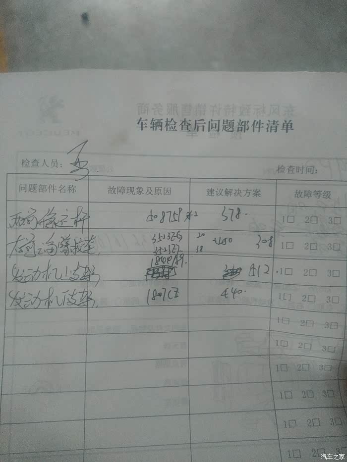
装好后试了下,大异响没了,但小异响还是有,听声音好像是前面发出来的,有检查了一下,说好多东西都老化了,要更换,更换了才没声音,不知道真的假的。更换的零件和价格如图,总共一千六百多
装好后试了下,大异响没了,但小异响还是有,听声音好像是前面发出来的,有检查了一下,说好多东西都老化了,要更换,更换了才没声音,不知道真的假的。更换的零件和价格如图,总共一千六百多

打开汽车之家 阅读体验更好
举报/纠错