8万公里奥迪Q5空调蒸发箱高低压管全坏了
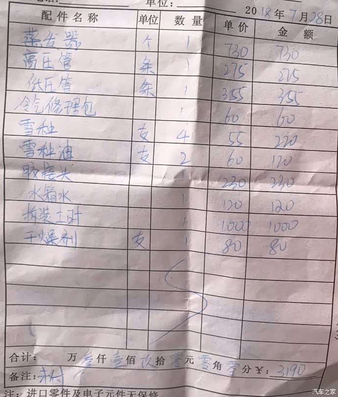
13年买的车,17年就觉得空调不凉。18年7月20日,空调一边吃凉风,一边吹热风,没有制冷。送去车行说是漏雪种,具体没检测出哪里的问题。又送去4S店,同样是检测不出来,于是4S店建议加雪种+荧光剂再深入检查 。我把车开回去两天,又回复到原状。4S店再次检查,也没查出具体问题,说估计是蒸发箱坏了,要查蒸发箱要大拆,把整个仪表盘等拆出来需要3天时间,如果查出问题,蒸发箱是8060元+3200元人工!!!好吧,我又开回平时保养的车行。。。大拆同样需要3天时间,只是费用便宜很多。总共下就3190元(见图片)
问题来了,才修好两天,今天冷气又坏了!!!开回去车行,说这次是阀门坏了,这个小零件没有单独卖的,都是连冷却泵一套买,要1600元。
求大神指教:这到底是冷却泵的阀门坏了,会引起漏雪种?还是师傅维修时把这个阀门弄坏了?像这种情况 ,我该怎么跟车行沟通??没道理刚刚修好的车又说阀又坏了。只是小女子不懂这当中的原因。不知道怎么去跟车行说。
问题来了,才修好两天,今天冷气又坏了!!!开回去车行,说这次是阀门坏了,这个小零件没有单独卖的,都是连冷却泵一套买,要1600元。
求大神指教:这到底是冷却泵的阀门坏了,会引起漏雪种?还是师傅维修时把这个阀门弄坏了?像这种情况 ,我该怎么跟车行沟通??没道理刚刚修好的车又说阀又坏了。只是小女子不懂这当中的原因。不知道怎么去跟车行说。




打开汽车之家 阅读体验更好
举报/纠错