【我和奔腾不得不说的故事】老车,08款手动低配十年作业。
08款手动低配的十年进化
又要年审,才突然想起,这车居然陪伴我十年了。
十年前,根本不敢想象到了十年老旧的车会变成什么样子。是到处掉漆吗?嗯,十年前这样的车很多。是车身到处凹陷吗?也对,十年前很多旧车也是这个样子。零件都扣不上了,前后杠都快掉了吧?好像十年前的十龄旧车也差不多。
然而它还是在这里,好好的,很难令人注意到这十年的存在。按常理来说,现在这状态应该是开了三年多的样子。如果不是经历了那么多改动的话,我真不记得这十年给它留下了什么存在。
既然如此,就把它的十年作业做了吧。
十年前,根本不敢想象到了十年老旧的车会变成什么样子。是到处掉漆吗?嗯,十年前这样的车很多。是车身到处凹陷吗?也对,十年前很多旧车也是这个样子。零件都扣不上了,前后杠都快掉了吧?好像十年前的十龄旧车也差不多。
然而它还是在这里,好好的,很难令人注意到这十年的存在。按常理来说,现在这状态应该是开了三年多的样子。如果不是经历了那么多改动的话,我真不记得这十年给它留下了什么存在。
既然如此,就把它的十年作业做了吧。




敦厚而并不臃肿的车身

紧致后翘的屁股和充满力量感的侧身
本着经济实用原则十年改(加)装清单:
1.金华达一体近光氙气
2.L型常亮日行灯
3.双光氙气雾灯
4.音响控制键+定速巡航
5.HASE高音仔+功放+INFENITY中低音
6.TCR-Ⅱ车身加强件(顶吧+井字架+底吧)
7.全套KYB蓝桶减震
8.17寸轮毂
9.2.3日规发动机裸机+日规点火线圈+调整点火
10.晴雨挡、贴膜、行车记录仪、大视野后视蓝镜、红旗字标……
11.全车改珍珠白
1.金华达一体近光氙气
2.L型常亮日行灯
3.双光氙气雾灯
4.音响控制键+定速巡航
5.HASE高音仔+功放+INFENITY中低音
6.TCR-Ⅱ车身加强件(顶吧+井字架+底吧)
7.全套KYB蓝桶减震
8.17寸轮毂
9.2.3日规发动机裸机+日规点火线圈+调整点火
10.晴雨挡、贴膜、行车记录仪、大视野后视蓝镜、红旗字标……
11.全车改珍珠白


整体车况
车况非常满意。现在换装2.3发动机+KYB蓝桶+朝阳SA37轮胎之后,加速更迅捷畅快,下盘更加紧致有力,整个车身都好像被高弹力绷带捆起来了一样。稳定性大增,过烂泥路也不会大幅度摇晃,行驶反而更加安静。不用做隔音,噪音都控制到一个非常合理的水平。
暴力驾驶了一年多,发动机没有烧机油,发动机不渗油,排气管口也只有因暴力驾驶不完全燃烧形成的薄积碳。油耗不算高,市区油耗最低控制到百公里10.3,最高11.5。长途油耗和2.0时候没多大分别。重点是基础排量变大,等不起红绿灯,等久了油耗刷刷直飚。运行了1年有余,没出现过任何异常,没有怠速抖动,没有半路熄火,没有这样或者那样的各种状况,就跟原厂车一样运行。出弯更快,更能甩尾,动力好了,过弯的重心转移也更好做了。凭借2.3配手动的蛮力和调整过点火充分发挥发动机的潜能和只有1.4吨多的重量,怠速起步就可以跑到8秒,仅逊色于现在的主流2.0T。
大灯罩没有发黄变色,但是改装的近光氙气亮度已经有衰减。根据减震器的寿命,每5年换一套,以保障最佳行驶品质。轮胎换过三条韩泰K407,四条倍耐力P7,一对万力AP028,四条固特异御乘,一条朝阳SA07,现在使用一套国产神胎朝阳SA37。转向机胶套、半轴防尘套老化渗油。虽然不影响使用,毫不留情更换。
暴力驾驶了一年多,发动机没有烧机油,发动机不渗油,排气管口也只有因暴力驾驶不完全燃烧形成的薄积碳。油耗不算高,市区油耗最低控制到百公里10.3,最高11.5。长途油耗和2.0时候没多大分别。重点是基础排量变大,等不起红绿灯,等久了油耗刷刷直飚。运行了1年有余,没出现过任何异常,没有怠速抖动,没有半路熄火,没有这样或者那样的各种状况,就跟原厂车一样运行。出弯更快,更能甩尾,动力好了,过弯的重心转移也更好做了。凭借2.3配手动的蛮力和调整过点火充分发挥发动机的潜能和只有1.4吨多的重量,怠速起步就可以跑到8秒,仅逊色于现在的主流2.0T。
大灯罩没有发黄变色,但是改装的近光氙气亮度已经有衰减。根据减震器的寿命,每5年换一套,以保障最佳行驶品质。轮胎换过三条韩泰K407,四条倍耐力P7,一对万力AP028,四条固特异御乘,一条朝阳SA07,现在使用一套国产神胎朝阳SA37。转向机胶套、半轴防尘套老化渗油。虽然不影响使用,毫不留情更换。


正品KYB减震器全家福。不用担心假的,因为实在没多少人会想到要买这东西。朋友的维修厂还是第一次有客户要求装。

原厂东机工和KYB蓝桶搂肩而坐。
两片黑的是前塔顶胶。
两片黑的是前塔顶胶。

减震开扒,交头接耳
KYB蓝桶减震器的功力如何
在拆下之后,东机工减震全套5年没有漏油,不过比较软,可以用轻松用身体力量压缩。每对减震回弹均匀。但是实际上遇到减速带、过坑的时候,遇到颠簸会多了一下余震,感觉稍微不爽。如果对驾驶不计较的话,完全不必更换,不仔细感觉的话不会感觉很明显。
KYB蓝桶拉力更大,压缩力更大。装车之后在侧面用力横推车身,左右晃动幅度小,晃动的原因主要是轮胎受压变形为主。对比原厂同样动作,悬挂行程变动更大,而轮胎压缩量不大。
开出去路试,遇到坑洼颠簸,整车更加平稳,震动小。原车的晃动更多,特别是被雨泡过的土路,上下坑的反弹会导致大幅摇摆,但KYB蓝桶上身的车身摇晃幅度不到原来的一半。过弯侧倾小。做麋鹿测试动作的反应更快,下盘稳固,反应比不少运动型A级车还灵敏。过弯更有信心更快。然而,支撑力明显增加的同时并不会感觉悬挂系统变得僵硬颠簸。这种变化程度之大完全在我和维修厂老板的意料之外,原以为仅仅原厂三倍的价格只会令底盘稍有改进,而不是立竿见影,表现完全跨级。这还是要亲自试过才能体会到这种惊讶。
达到这种功力,并不需要降低车身,离地间隙和使用原厂东机工完全一致,全靠减震自己的性能解决问题。这样也产生了副作用,以后试驾其他同级量产车会觉得底盘没有一个够好的。
KYB蓝桶拉力更大,压缩力更大。装车之后在侧面用力横推车身,左右晃动幅度小,晃动的原因主要是轮胎受压变形为主。对比原厂同样动作,悬挂行程变动更大,而轮胎压缩量不大。
开出去路试,遇到坑洼颠簸,整车更加平稳,震动小。原车的晃动更多,特别是被雨泡过的土路,上下坑的反弹会导致大幅摇摆,但KYB蓝桶上身的车身摇晃幅度不到原来的一半。过弯侧倾小。做麋鹿测试动作的反应更快,下盘稳固,反应比不少运动型A级车还灵敏。过弯更有信心更快。然而,支撑力明显增加的同时并不会感觉悬挂系统变得僵硬颠簸。这种变化程度之大完全在我和维修厂老板的意料之外,原以为仅仅原厂三倍的价格只会令底盘稍有改进,而不是立竿见影,表现完全跨级。这还是要亲自试过才能体会到这种惊讶。
达到这种功力,并不需要降低车身,离地间隙和使用原厂东机工完全一致,全靠减震自己的性能解决问题。这样也产生了副作用,以后试驾其他同级量产车会觉得底盘没有一个够好的。


十年了,底盘沾上了不少泥水、沥青......
大养护
车况已经说了,发动机情况好,底盘质感升级,手动档变速箱质量可靠。但是在油水中的橡胶件坚持十年,还是不容易啊。
半轴胶套和转向机胶套已经渗漏了,不过转向液并没有减少,转向也没有异响,传动轴也没有问题。维修厂的好处就是可以找胶套,而不是整个换转向机和半轴。大幅节约维修成本。
左侧尾鼓由于长期积水,内部生锈,隔板生锈脱落。起步或者颠簸就铛铛响,一幅喇叭不响车响的样子。也彻底换了。由于不在乎排气声音,换了个副厂件。装上开起来也没大分别。
以前用泡沫清洁剂洗过车顶天花,洗多了整块天花布脱离,自己用半盒图钉按上。现在干脆也重新贴了,图个视觉清净。
半轴胶套和转向机胶套已经渗漏了,不过转向液并没有减少,转向也没有异响,传动轴也没有问题。维修厂的好处就是可以找胶套,而不是整个换转向机和半轴。大幅节约维修成本。
左侧尾鼓由于长期积水,内部生锈,隔板生锈脱落。起步或者颠簸就铛铛响,一幅喇叭不响车响的样子。也彻底换了。由于不在乎排气声音,换了个副厂件。装上开起来也没大分别。
以前用泡沫清洁剂洗过车顶天花,洗多了整块天花布脱离,自己用半盒图钉按上。现在干脆也重新贴了,图个视觉清净。

黑色的圆圈是拆下半轴的位置

可以看到渗油的转向机和半轴套

半轴已经拆下来,涂油。

新旧尾鼓

旧尾鼓内壁也是厚厚的锈迹。

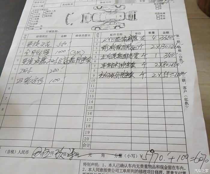
十年大整备的内容和费用。
有点吓人啊,但是带来的提升也是吓人的啊。
有点吓人啊,但是带来的提升也是吓人的啊。
尾声
如果对车的评价上图能解决问题,那么就粗暴地用图片来解决问题。


城市就是公园,公园就是城市。不要羡慕,这三线城市古老的大榕树随处可见。

湖光山色一目尽揽

这里不缺乏S弯。

山脚一番别野......

路边还有很有情调的植被和落叶

用满了十年,一直保持在愉悦和进步之中,难道还需要换车吗?虽然按照行情来说,它不值什么钱,然而它在我心中的价值却很大。

奔腾的前路,有远方,有高峰,奔腾不息,壮心不已。
打开汽车之家 阅读体验更好
举报/纠错