不到九万公里的5系突然出现一堆问题,跟大家探讨探讨
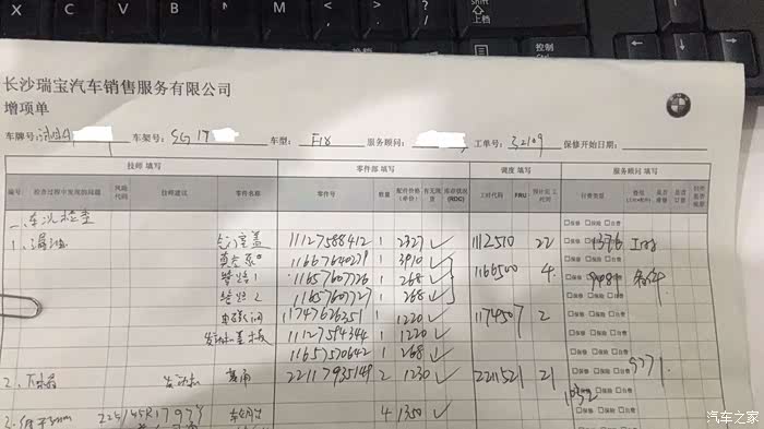
2012年底买入的华晨525,刚过五年时间,里程不到9万公里,一直对这辆车的质量非常有信心,也一直在本群里充当华晨5系坚定的护法和“托”,本想今天做完常规保养后去拍一组照片,然后写一篇热情洋溢的作业贴热捧一下华晨宝马的高品控,结果今天在4S店做保养时却发现出一堆的问题,把我从头凉到脚——发动机漏油,真空泵失效,电磁阀损坏,基脚损坏......,据4S店车间修理师傅说,我这个发现得还算晚的,大部分都在5万公里左右就集中爆发了,这款N20发动机不止在5系上,在3系上也一样,无解。
我这次全部更换下来一万多大洋,钱还不是让我心痛的,我最心痛的是,一直心目中品控不错的华晨5系怎么这都啥质量啊?我2005年的雅阁开到现在快13年25万多公里了都没这么多问题啊!



当然,我没有因为这些问题而否定5系的高性能和对它失去信任,五年多开下来我感觉是自己十几年来开过所有车里最好开的一辆,它发动机和变速箱的匹配和调校功力不在家里那辆MacanS之下,在市区开比它轻松和轻快多了。
和大家探讨探讨是否也碰到跟我同样问题的,谢谢!
我这次全部更换下来一万多大洋,钱还不是让我心痛的,我最心痛的是,一直心目中品控不错的华晨5系怎么这都啥质量啊?我2005年的雅阁开到现在快13年25万多公里了都没这么多问题啊!




当然,我没有因为这些问题而否定5系的高性能和对它失去信任,五年多开下来我感觉是自己十几年来开过所有车里最好开的一辆,它发动机和变速箱的匹配和调校功力不在家里那辆MacanS之下,在市区开比它轻松和轻快多了。
和大家探讨探讨是否也碰到跟我同样问题的,谢谢!

打开汽车之家 阅读体验更好
举报/纠错